新浪樂居訊 與全國地王頻出相比,?? ?6月1日,南寧國土局出讓的經開區4大地塊掛牌出讓均遇冷,以底價成交!GC2016-023、GC?2016-024、GC2016-026均被?南寧嘉通置業有限責任公司(以下簡稱嘉通置業)拿下;GC2016-025被南寧市雅力富建設投資有限責任公司(以下簡稱雅力富)拿下。
6月1日土地成交一覽表
據了解到嘉通置業是南寧國家經濟開發區政府唯一的國有資產運營商南寧綠港建設投資集團有限公司旗下子公司,該公司現扎根江南經開區,目前開發在售項目有南寧綠港國際中心。
嘉通置業現場拿地
同樣,早在2015年6月19日,雅力富也已成功布局江南,拿下了位于經開區那洪大道南側、北部灣1號路東面的拍轉掛地塊——紫蘭公館,該項目是雅力富在南寧的首個房地產項目。同年7月22日,雅力富拿下了GC2015-084地塊則位于經開區國凱大道北側、國凱二支路西側——錦蘭公館。截至今日,雅力富成功布局南寧江南區3大項目。據雅力富現場負責人介紹雅力富為本土企業,紫蘭公館、錦蘭公館2大項目今年9月份推出,剛需為主,毛坯價5800到6000元每平米。而此次拿下的地塊將建設低密度的改善型小洋房。
雅力富現場簽約拿地
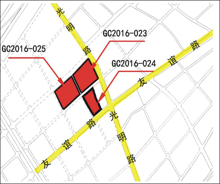
(一)GC2016-023地塊位于經開區光明路西側、友誼路北面,宗地號:450105102001GB00195;出讓面積85820.28平方米(折合128.730畝),土地批準用途:城鎮住宅用地、批發零售用地;土地使用年限:城鎮住宅用地70年、批發零售用地40年。
主要規劃設計條件:容積率>1.0且≤2.0, 建筑密度>20%且≤30%,綠地率≥35%,建筑高度控制要求:滿足機場限高要求,屋頂標高小于168米。商業建筑面積占計算容積率的總建筑面積比例為5%-10%,其余為住宅。
其他規劃設計要求按《南寧市規劃管理局建設項目規劃設計條件通知書》(審批號:JKCR2016-010)和《南寧市房地產開發項目建設條件意見書》(南經房開發意見書[2016]4號)的規定執行。
掛牌起始價為人民幣127萬元/畝,競買保證金為人民幣3270萬元。
(二)GC2016-024地塊位于經開區光明路西側、友誼路北面,宗地號:450105102001GB00196;出讓面積43957.89平方米(折合65.937畝),土地批準用途:城鎮住宅用地、批發零售用地;土地使用年限:城鎮住宅用地70年、批發零售用地40年。
主要規劃設計條件:容積率>1.0且≤2.0, 建筑密度>20%且≤32%,綠地率≥35%,建筑高度控制要求:滿足機場限高要求,屋頂標高小于168米。商業建筑面積占計算容積率的總建筑面積比例為10%-15%,其余為住宅。
其他規劃設計要求按《南寧市規劃管理局建設項目規劃設計條件通知書》(審批號:JKCR2016-012)和《南寧市房地產開發項目建設條件意見書》(南經房開發意見書[2016]6號)的規定執行。
掛牌起始價為人民幣132萬元/畝,競買保證金為人民幣1741萬元。
(三)GC2016-025地塊位于經開區光明路西面、友誼路北面,宗地號:450105102001GB00197;出讓面積81528.69平方米(折合122.293畝),土地批準用途:城鎮住宅用地、批發零售用地;土地使用年限:城鎮住宅用地70年、批發零售用地40年。
主要規劃設計條件:容積率>1.0且≤2.0, 建筑密度>20%且≤30%,綠地率≥35%,建筑高度控制要求:滿足機場限高要求,屋頂標高小于168米。商業建筑面積占計算容積率的總建筑面積比例為5%-10%,其余為住宅。
其他規劃設計要求按《南寧市規劃管理局建設項目規劃設計條件通知書》(審批號:JKCR2016-011)和《南寧市房地產開發項目建設條件意見書》(南經房開發意見書[2016]5號 )的規定執行。
掛牌起始價為人民幣126萬元/畝,競買保證金為人民幣3082萬元。
地塊位置示意圖
GC2016-026地塊位于經開區友誼路西側、那洪大道北側,宗地號:450105004002GB00140;出讓面積9305.34平方米(折合13.958畝),土地批準用途:城鎮住宅用地;土地使用年限:70年。
主要規劃設計條件:容積率>2.5且≤4.0, 建筑密度>22%且≤30%,綠地率≥35%。
本地塊須配建建筑面積7000平方米的公共服務用房,建成后無償移交給經開區那洪街道辦,并協助辦理產權登記手續。
其他規劃設計要求按《南寧市規劃管理局建設項目規劃設計條件通知書》(審批號:JKCR2016-001)和《南寧市房地產開發項目建設條件意見書》(南經房開發意見書[2016]1號)的規定執行。
掛牌起始價為人民幣319萬元/畝,競買保證金為人民幣891萬元。
GC2016-026地塊位置示意圖







